
Jersey Shore Land Speculation
An example of New Jersey seaside land development
This flyer advertising Seaside Park land for sale was typical of the type produced by land speculators to attract buyers to their properties. This plat and advertisement was likely produced in the late 1870's. A railroad bridge that was built in 1881 entered Seaside Park at Fourteenth Street and is not shown. According to the text in the flyer: "Trains leave Philadelphia, foot of Market Street, and New York, foot of Liberty Street, for Toms River. A fine steamer will meet all trains to convey passengers across the Bay.

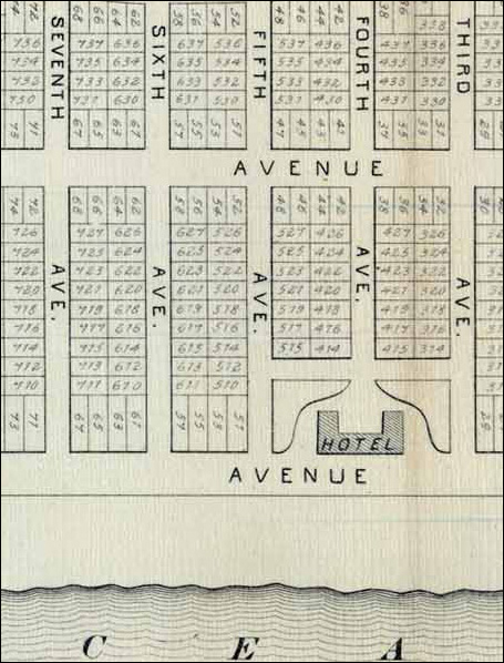
The next map is an enlarged view of one section of the map. Here you can see the individual land plots. Interested buyers were directed to inquire at the hotel or at the offices of Thomas Kennedy in Philadelphia. Kennedy had purchased this property at an auction, taking over ownership from a group of Baptist land speculators! They had hoped to build a religious resort that was modeled on the Methodist community founded in Ocean Grove, NJ.

The next map reveals what is apparently a second attempt at selling Seaside Park, a plot at a time. This flyer is from 1908 and directs interested buyers to Seaside Park or the offices of E.E. Grosscup in Camden N.J. The sales copy makes no mention of the Seaside Park Hotel. It does state there are three hotels in town - the Manhassett, Hiawatha, and Gladwin. It also mentions an "electric light and water plant, excellent artesian water, street lights, a sewer system.....cement sidewalks and curbs.....about ninety cottages, and a Yacht Club House.

Here is another view of the same Manhassett Hotel shown in the brochure. This is from a postcard that was postmarked 1910:

There is an utility pole in the foreground, and what looks to be a streetlight mounted on it. There is also plenty of activity, including guests on the porch and people strolling in front of the building. The text of the postcard was brief. "Dear Sister (From?) here for the day will write you later. Came over in a power boat, Ella." One can just imagine what it must have been like to walk into the hotel after the brief trip across the bay in a power boat, of all things. Arriving at the hotel Ella perhaps found a stack of hotel postcards at the front desk and taking one, jotted down a quick note to her sister.
The plat that was a part of the 1908 sales brochure extends further north than the earlier land plat. Its southern end has also shifted, only going as far south as the railroad bridge at Fourteenth Avenue.

The next photo provides an aerial view of Seaside Park taken in 1920. The railroad line is barely visible in the upper left side of the picture. Clearly most plots of land are open, and presumably unsold. It is interesting that no development has occurred south of the incoming train route. The population at this time was somewhere between one and two hundred permanent residents.

An enlarged view provides a better idea of the level of building that has taken place. The Manhasset Hotel is the large building at the back edge of the Atlantic Ocean beach. The hotel burned down in 1940

Seaside Park did begin to grow at a more rapid rate after 1920. The story about land speculation that is shown through the promotional flyers is one that was repeated many times along the Jersey shore. Some schemes were more successful than others, at least in the speediness of the return earned by investors. The arrival of railroad access was important in any areas growth but it was not the only reason for growth - or lack thereof. Of course the Jersey shore is highly developed today. Yet the relative fortunes of any particular area often waxes and wanes according to economics, public tastes, and other factors.
